Lawn Terrace Apartments, owned by Lawn Terrace Owners Corporation, consist of 51 individually owned garden-style apartments in the Rye Neck section of Mamaroneck, located on 2.35 acres of land in Westchester County, just north of New York City.
Geographical Location
Our complex comprises three two-story, garden-style cooperative apartment buildings that form a rectangle. Two of the buildings have basements and the remaining building features 26 individual parking garages beneath the apartment units. The complex features two parking lots and a private driveway that runs along the south border of the property, with a capacity for 63 cars. Located on sloping land with elevations ranging from 25 feet to 50 feet above mean sea level, our complex is located southwest of the intersection formed by Lawn Terrace and Stuart Avenue. Because of our elevation, our complex is currently outside 100-year and 500-year flood zones.
Our GPS location is 40.950836N, -73.727899W.
Site History
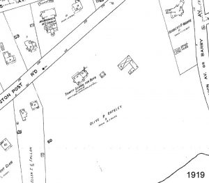
Before 1908, historical maps of our property show mostly undeveloped land and a small two story building with a stable and an additional servant’s quarters. Around 1908, this residence was converted for use as a private school (Trinity School for Boys), which was closed around 1919. Subsequently the property was redeveloped as Westchester Bath Club. This complex consisted of a two-story main building, a residential building, a greenhouse, and a swimming pool with adjacent dressing room structures. By 1952, this land was redeveloped as Lawn Terrace Apartments complex – two L-shaped buildings in the northern portion of the property and a third building along the southern portion of the property. Our property hasn’t significantly changed since 1952.
Construction
Each of our buildings is of masonry construction, with brick exterior walls and pitched asphalt-shingled roofs. The exterior grounds include a central courtyard area, asphalt-paved driveways and parking lots, landscaped areas, and asphalt and masonry-paved sidewalks.
Utilities
Our complex is served by the municipal water supply system and our buildings are connected to the municipal sanitary sewer system. Electric and gas service is provided by ConEd and heating and hot water services are provided by our own heating plant (dual fuel – gas and oil). Residents can choose between two communications providers, Verizon (phones and FiOS) and Cablevision (phones and Optimum Online).
Ownership
All apartments in our complex, excluding the apartment occupied by the superintendent, are individually owned. Our property is owned by Lawn Terrace Owners Corporation, Inc.
Board and Management
Our Board of Directors is comprised of 6-7 members, elected (or re-elected) at the annual shareholder meeting. The complex is managed by Gramatan Management, Inc. The complex has a superintendent who is responsible for the daily maintenance of the complex


